Skip to main content
Skip to main navigation menu
Skip to site footer
Register
Login
Home
Store
Current
Articles
Archives
Special volume
About
About the Journal
Submissions
Announcements
Privacy Statement
Q & A
Advantages
Contact
Subscription
Search
Full editor list:
Theory & Methodology
Protist
VERTEBRATES
Pisces-Editors
Amphibia-Editors
Reptilia-Editors
Aves-Editors
Mammalia-Editors
ARTHROPODS
Trilobita-Editors
Pycnogonida-Editors
Opiliones-Editors
Scorpiones-Editors
Solifugae-Editors
Pseudoscorpiones-Editors
Palpigradi-Editors
Ricinulei-Editors
Acari-Editors
Araneae-Editors
Amblypygi-Editors
Thelyphonida-(Previously-Uropygida)-Editors
Schizomida-Editors
Myriapoda-Editors
Crustacea-Editors
Collembola-Editors
Protura-Editors
Diplura-Editors
Microcoryphia-Editors
Zygentoma-Editors
Ephemeroptera-Editors
Odonata-Editors
Titanoptera-Editors
Orthoptera-Editors
Phasmatodea-Editors
Embioptera-Editors
Grylloblattodea-Editors
Plecoptera-Editors
Dermaptera-Editors
Zoraptera-Editors
Mantodea-Editors
Blattodea-Editors
Isoptera-Editors
Psocoptera-Editors
Phthiraptera-Editors
Thysanoptera-Editors
Hemiptera-Editors
Hymenoptera-Editors
Strepsiptera-Editors
Coleoptera-Editors
Megaloptera-Neuroptera-Raphidioptera-Editors
Trichoptera-Editors
Lepidoptera-Editors
Diptera-Editors
Siphonaptera-Editors
Mecoptera-Editors
OTHER INVERTEBRATES
Ctenophora-Editors
Porifera-Editors
Coelenterata-Editors
Xenoturbellida-Editors
Acoelomorpha-Editors
Tunicata-Editors
Ascidiacea-Editors
Echinodermata-Editors
Hemichordata-Editors
Nematoda-Editors
Nematomorpha-Editors
Tardigrada-Editors
Onychophora-Editors
Loricifera-Editors
Kinorhyncha-Editors
Bryozoa-Editors
Entoprocta-Editors
Annelida-Editors
Sipuncula-Editors
Mollusca-Editors
Nemertea-Editors
Echiura-Editors
Brachiopoda-Editors
Phoronida-Editors
Gastrotricha-Editors
Platyhelminthes-Editors
Gnathostomulida-Editors
Rotifera-Editors
Acanthocephala-Editors
Vol. 5768 No. 2: 10 Mar. 2026
Published:
2026-03-10
DOI:
https://doi.org/10.11646/zootaxa.5768.2
Article
True elves: a review of the members of the
Merodon constans
group (Diptera: Syrphidae) breeding in snowdrops and snowflakes (Galantheae), with description of two new Caucasian species
GRIGORY POPOV, RUSLAN MISHUSTIN, ANTE VUJIC, VIKTOR SHPARYK, SNEZANA RADENKOVIC, CELESTE PEREZ-BANON, ANDREA ARACIL, VALERY KORNEYEV, LAURA LIKOV, ANDREW ZAMOROKA, SANTOS ROJO
Published:
2026-03-10
DOI:
10.11646/zootaxa.5768.2.1
Page range:
151-192
Abstract views:
566
PDF downloaded:
18
Requires Subscription or Fee
PDF(45.63MB)
Systematic review of the insular endemic lizard genus
Coryphophylax
Fitzinger in Steindachner, 1867 (Reptilia: Agamidae) from the Andaman and Nicobar Islands, with the description of a new species from Car Nicobar, India
S.R. CHANDRAMOULI
Published:
2026-03-10
DOI:
10.11646/zootaxa.5768.2.2
Page range:
193-215
Abstract views:
323
PDF downloaded:
13
Requires Subscription or Fee
PDF(21.37MB)
Three new records and a dichotomous key for adult domestic Triatominae (Hemiptera: Heteroptera: Reduviidae) species in Oaxaca, Mexico
EDUARDO DAVALOS-BECERRIL, FABIAN CORREA-MORALES, CASSANDRA GONZÁLEZ-ACOSTA, JESÚS IBARRA-LÓPEZ, JOSÉ CARAPIA-SALINAS, FABIÁN REYES-GARCÍA, UMBERTO CABALLERO-SÁNCHEZ, CLEMENTE IBÁÑEZ-PIÑÓN, JORGE CONCHA-SUÁREZ, JOSEFINA C. GARCÍA-TRUJILLO, KARLA GARCÍA-DIRZO, MIGUEL MORENO-GARCÍA
Published:
2026-03-10
DOI:
10.11646/zootaxa.5768.2.3
Page range:
216-228
Abstract views:
257
PDF downloaded:
9
Requires Subscription or Fee
PDF(7.50MB)
A checklist of fireflies (Coleoptera: Lampyridae) from India
PARVEZ, AKSHAY KUMAR CHAKRAVARTHY, OLIVER KELLER, DEVANSHU GUPTA, AMLAN DAS
Published:
2026-03-10
DOI:
10.11646/zootaxa.5768.2.4
Page range:
229-249
Abstract views:
787
PDF downloaded:
16
Requires Subscription or Fee
PDF(2.82MB)
No justification for recognition of the blindsnake genera
Anilios
and
Sundatyphlops
(Squamata: Typhlopidae)
FRED KRAUS, SIMON T. MADDOCK
Published:
2026-03-10
DOI:
10.11646/zootaxa.5768.2.5
Page range:
250-260
Abstract views:
737
PDF downloaded:
26
Requires Subscription or Fee
PDF(2.20MB)
First record of
Amrasca
(
Sundapteryx
)
biguttula
(Ishida, 1913) (Hemiptera: Cicadellidae: Typhlocybinae) from Türkiye and its morphological and molecular identification
İBRAHİM ERSİN BOZDOĞAN, HAKAN ÇARPAR, NİHAT DEMİREL, ÖMER FARUK COŞKUN
Published:
2026-03-10
DOI:
10.11646/zootaxa.5768.2.6
Page range:
261-272
Abstract views:
243
PDF downloaded:
109
PDF(8.89MB)
Morphological and molecular evidence reveals a new species of
Sipyloidea
(Phasmatodea: Lonchodidae: Necrosciinae: Necrosciini) from Yunnan Province, China
ZI-ZHAO WANG, ZI-HAO ZHU, XING-MIN WANG
Published:
2026-03-10
DOI:
10.11646/zootaxa.5768.2.7
Page range:
273-284
Abstract views:
180
PDF downloaded:
15
Requires Subscription or Fee
PDF(22.65MB)
Hidden diversity inside bromeliads: a new species of
Cavichiana
from Espírito Santo, southeastern Brazil (Insecta: Hemiptera: Cicadellidae: Cicadellini)
ÁGATHA TIMÓTEO, VICTOR QUINTAS, ANDRÉ ALMEIDA ALVES, GABRIEL MEJDALANI
Published:
2026-03-10
DOI:
10.11646/zootaxa.5768.2.8
Page range:
285-294
Abstract views:
285
PDF downloaded:
14
Requires Subscription or Fee
PDF(10.36MB)
Correspondence
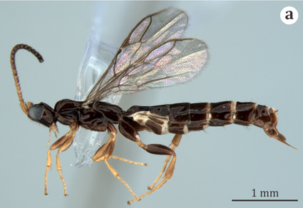
Rediscovery of
Neurateles
Ratzeburg, 1848 (Hymenoptera: Ichneumonidae: Orthocentrinae) from the Brazilian Caatinga: first validated Neotropical record
JULIA SCANAVACHI, ANGÉLICA MARIA PENTEADO-DIAS
Published:
2026-03-10
DOI:
10.11646/zootaxa.5768.2.9
Page range:
295-297
Abstract views:
157
PDF downloaded:
8
Requires Subscription or Fee
PDF(1.63MB)
A new species of
Rupirana
(Anura, Leptodactylidae) from Serra do Assuruá, Bahia, Brazil
SARAH MÂNGIA, GUILHERME DO AMARAL, MÁRCIA MULLER, DIEGO JOSÉ SANTANA
Published:
2026-03-10
DOI:
10.11646/zootaxa.5768.2.10
Page range:
298-300
Abstract views:
210
PDF downloaded:
11
Requires Subscription or Fee
PDF(2.59MB)