Abstract
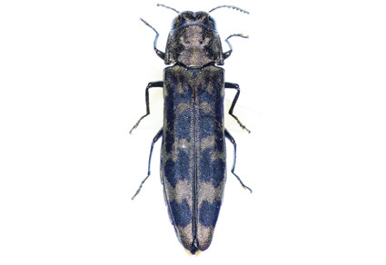
Prickly ash borer (PAB) Agrilus zanthoxylumi was first identified but undescribed by Mr. Tao-qian Hou, Zoological Institute, Chinese Academy of Sciences, in the 1980s. This specific name first appeared in the book Cultivation and pest control of Sichuan pepper by Li et al. (1989a) as A. zanthoxylumi Hou & Feng. We have made various efforts to find the original named specimens, but both Hou’s and Li’s specimens of this species were lost. This insect causes significant damage in prickly ash orchards across northwestern and southwestern China, becoming one of the important economic pests in the production of prickly ash pepper in China. Confusion and inconsistencies have persisted in the citation of the author(s) of the Latin name in various papers, although there are many reports on its biology, occurrence habits, and control techniques. In present article, the name of this Agrilus species is verified and determined as A. zanthoxylumi Hou & Feng, 1989, which was first cited in Li et al. (1989a). A neotype for this taxon is also designated. To help accurate identification of this species, the morphological characteristics of all life stages (adult, egg, larva, and pupa) of A. zanthoxylumi are redescribed based on the neotype and other specimens, and color photos are also provided.
References
- Bellamy, C.L. (2009) A World Catalogue and Bibliography of the Jewel Beetles (Coleoptera: Buprestoidea). Vol. 4. Agrilinae: Agrilina through Trachyina. Pensoft, Sofia, Moscow, 753 pp., 1 pl. [pp. 1932–2684, pl. 2]
- Cao, F.L. & Xu, G.H. (2000) Investigation and control strategies of major pests and diseases on Zanthoxylum bungeanum in Yichuan County. Shaanxi Forest Science and Technology, 2000 (2), 40–43. [in Chinese with English summary] https://doi.org/10.3969/j.issn.1001-2117.2000.02.011
- Cao, J., Cao, Z.G. & Wang, H.Z. (2021) Investigation and control study of major pests and diseases on Zanthoxylum bungeanum in Ankang City. Modern Agricultural Science and Technology, 22, 74–76. [in Chinese]
- Cai, W.Z. (2022) Latin-English-Chinese Dictionary of Entomology. Henan Science and Technology Press, Zhengzhou, 73 pp. [in Chinese]
- Chen, D., Guo, L., Xie, S.A., Gao, X.J., Jia, R.H., Zhang, Z.T., Qi, Y. & Lv, S.J. (2022) Cloning and expression analysis of glutathione S-transferase genes from Agrilus zanthoxylumi (Coleoptera: Buprestidae). Journal of Entomological Science, 57 (2), 173–181. https://doi.org/10.18474/JES21-20
- Chen, D., Yang, P., Guo, L., Xie, S.A., Gong, X.F. & Lyn, S.J. (2021) Screening and stability evaluation of reference genes for real-time quantitative polymerase chain reaction in Agrilus zanthoxylumi (Coleoptera: Buprestidae). Journal of Entomological Science, 56 (4), 527–540. https://doi.org/10.18474/JES20-80
- Dang, X.D., Chen, X.D., Wang, M.C., Li, F., Li, M.L. & Sun, Y.M. (1988) A primary study of three important pests of Zanthoxylum simulans. Shaanxi Forest Science and Technology, 1988 (2), 57–61. [in Chinese with English summary]
- Dang, X.D., Pu, S.F., Chen, X.D., Xue, C.X., Bai, Y.A., Zheng, W.F. & Wang, M.C. (1989) Cultivation and Pest Control of Zanthoxylum bungeanum. Tianze Press, Yangling, 81 pp. [in Chinese]
- Feng, Z.W., Duan, Z.Y., Liu, X.F., Xun, J.C., Zhou, X.F., Zhou, M., Zhang, S.K. & Shi, S.G. (2005) Current damage situation of pests and diseases of Zanthoxylum bungeanum in Zhaotong city and measures for integrated control. Journal of West China Forestry Science, 34 (4), 111–114. [in Chinese with English summary]
- Gao, H.T. & Zhang, G.L. (2007) Biological characteristics and integrated control measures of Agrilus zanthoxylumi. Shaanxi Journal of Agricultural Sciences, 2007 (2), 183–184. [in Chinese]
- Gong, X.F., Xie, S.A., Yang, P., Guo, L., Chen, D., Che, X.R., Wang, Y.L. & Lv, S.J. (2020) Analysis of the antennal transcriptome and olfaction-related genes of Agrilus zanthoxylumi. Acta Entomologica Sinica, 63 (10), 1159–1170. [in Chinese with English summary] https://doi.org/10.16380/j.kcxb.2020.10.001
- Hou, T.Q. (1987) Chinese Pine Caterpillars. Science Press, Beijing, 340 pp. [in Chinese]
- Hou, T.Q. (1990) Research Progress in Forest Insects. Tianze Press, Yangling, 403 pp. [in Chinese]
- Hou, T.Q. & Feng, Z.W. (1989) Agrilus zanthoxylumi new species. In: Li, M.L., Cao, Z.M. & Wang, P.X. (Eds.), Cultivation and pest control of Sichuan Pepper. Shaanxi Science & Technology Press, Xi’an, pp. 60–63. [in Chinese]
- ICZN [International Commission for Zoological Nomenclature] (2017) International Code of Zoological Nomenclature. 4th Edition. International Trust for Zoological Nomenclature, London. Available from: https://code.iczn.org/ (accessed 3 March 2026)
- Jendek, E. (2006) Genus Agrilus Curtis. In: Löbl, I. & Smetana, A. (Eds.), Catalogue of the Palaearctic Coleoptera, Vol. 3. Apollo Books, Stenstrup, pp. 388–403.
- Jendek, E. (2012) Corrections to Agrilus related species-group names in the world catalogue of Bellamy and new substitute names for Agrilus species-group homonyms. ZooKeys, 249, 61–76. https://doi.org/10.3897/zookeys.249.4387
- Jendek, E. (2013) Revision of the Agrilus occipitalis species-group (Coleoptera, Buprestidae, Agrilini). ZooKeys, 256, 35–79. https://doi.org/10.3897/zookeys.256.4272
- Jendek, E. (2016) Catalogue. Buprestidae: Agrilinae: Agrilini, Agrilus. In: Löbl, I. & Löbl, D. (Eds.), Catalogue of Palaearctic Coleoptera. Vol. 3. Scarabaeoidea – Scirtoidea – Dascilloidea – Buprestoidea – Byrrhoidea (Revised and Updated Edition). Brill, Leiden, Boston, pp. 524–549.
- Jendek, E. & Grebennikov, V. (2011) Agrilus (Coleoptera, Buprestidae) of East Asia. Jan Farkač, Prague, 362 pp.
- Ji, B., Zhang, Y.H., Yin, H., Zhang, Y.X., Sun, X.Y., Duan, C.J. & Xue, T. (2020) Research review of bio-control of crops diseases and insect pests in prickly ash. Shaanxi Journal of Agricultural Sciences, 66 (10), 72–75. [in Chinese]
- Kang, K.G., Wang, Y.P., Qiang, L., Shi, H.Q. & Chen, H. (2007) A study on chemical control test of Agrilus zanthoxylumi Hou and Feng. Journal of Northwest Forestry University, 22 (6), 105–107. [in Chinese with English summary]
- Li, J.J., Yan, B., Song, H.T. & Yang, M.F. (2025) The Complete mitochondrial genome of Agrilus zanthoxylumi Li, 1989 (Buprestidae: Agrilinae): Genome characterization and phylogenetic implications. Journal of the Entomological Research Society, 27 (1), 121–138. https://doi.org/10.51963/jers.v27i1.2756
- Li, M.L. (2002) General Theory of Forest Entomology. China Forestry Publishing House, Beijing, 337 pp. [in Chinese]
- Li, M.L., Cao, Z.M., Li, K.W. & Li, Z.M. (1988) A primarily investigation of diseases and insects on prickly ash and description of important species. Journal of Northwest Forestry University, 3 (1), 29–36. [in Chinese with English summary]
- Li, M.L., Cao, Z.M. & Wang, P.X. (1989a) Cultivation and Pest Control of Zanthoxylum bungeanum. Shaanxi Science and Technology Press, Xi’an, 140 pp. [in Chinese]
- Li, M.L., Chen, X.N., Zhou, J.X. & Jiao, A.Y. (1989b) Insect fauna and distribution character in the main production areas of prickly ash pepper in Shaanxi and Gansu provinces. Shaanxi Forest Science and Technology, 1989 (3), 60–64. [in Chinese with English summary]
- Li, M.L., Li, Z.M. & Jiao, A.Y. (1990) Spatial distribution pattern and damage character of prickly ash stem girdler. Journal of Northwest Forestry University, 5 (1), 34–38. [in Chinese with English summary]
- Li, M.L., Liu, C.G., Ma, C.Q. & Zhang, W. (2009) Preliminary investigation of the resistance to Agrilus zanthoxylumi of Zanthoxylum bungeanum. Journal of Forestry Engineering, 23 (2), 12–15. [in Chinese with English summary]
- Liu, C.M., Yang, Y.W., Li, P., Wu, J.R. & Yang, B. (2020) Research progress on diseases and insect pests of Zanthoxylum bungeanum. Forest Pest and Disease, 39 (2), 28–35. [in Chinese with English summary]
- Liu, S.P. (2018) Analysis of volatile compounds from hindgut and feces of Agrilus zanthoxylumi and their physiological activity. MSc Thesis, Northwest A & F University, Yangling, 52 pp. [in Chinese with English summary]
- Lu, K.J., Zhang, S.H., Wei, Y.L., Fu, S.P. & Lu, A.J. (2016) Investigation on pests and diseases of Zanthoxylum bungeanum in Tianshui City. Gansu Agricultural Science and Technology, 2016 (3), 13–16. [in Chinese]
- Ma, Y.M., Sun, H.W., Teng, X.Z., Wu, Z.G., Chen, T. & Xing, A.Y. (2001) Investigation on pest species of Zanthoxylum bungeanum. Hebei Forestry Science and Technology, 2001 (6), 23–24, 26. [in Chinese]
- Men, T.T. & Li, M.L. (2006) Pests of Zanthoxylum bungeanum and their control in China. Agricultural Network Information, 2006 (3), 108–112. [in Chinese]
- Peng, Z.L. (2021) An Iconography of Chinese Buprestidae (Coleoptera). Vol. II. The Straits Publishing & Distributing Group, Fuzhou, 491 pp. [in Chinese]
- Qiao, X. (2010) Main factors affecting lifetime and integrated management measures in Zanthoxylum. Nonwood Forest Research, 28 (2), 122–125, 150. [in Chinese with English summary]
- Sun, Y.Z. & Li, Z.F. (1988) Preliminary study on Agrilus zanthoxylumi. Plant Protection, 14 (2), 23–24. [in Chinese with English summary]
- Tang, G.H., Li, M.L., Zhang, R.K. & Wang, T.M. (2021) Agrilus zanthoxylumi. In: Xiao, G.R. & Li, Z.Y. (Eds.), Forest Insects of China. 3rd Edition. China Forestry Publishing House, Beijing, pp. 294. [in Chinese]
- Wang, R., Cao, T.W. & Wang, L.Z. (2003) Study on the community structure and regionalism of the Chinese prickly ask insects in Shanxi. Journal of Shanxi University (Natural Science Edition), 26 (4), 343–348. [in Chinese with English summary]
- Wang, Y., Li, R.N., Liu, X.T. & Wang, N. (2012) The occurrence and control of Agrilus zanthoxylumi in Hancheng. Shaanxi Forest Science and Technology, (1), 76–77. [in Chinese with English summary]
- Wang, Y.L. (2019) Electroantennogram and Behavioral Responses of Agrilus zanthoxylumi to Volatiles in Host Fruits during High-risk Period. MSc Thesis, Northwest A & F University, Yangling, 40 pp. [in Chinese with English summary]
- Wang, Y.L., Xie, S.A., Lai, Q., Gong, X.F., Yang, P., Lv, S.J. & Li, D. (2019) Electroantennogram and behavioral responses of Agrilus zanthoxylumi to volatiles from Zanthoxylum bungeanum fruit. Journal of Northwest Forestry University, 35 (1), 150–157. [in Chinese with English summary]
- Wu, G. & Wang, D.L. (2010) Occurrence patterns and control of borer pests on Zanthoxylum bungeanum in Longnan. Special Economic Animals and Plants, 13 (7), 53–54. [in Chinese]
- Wu, H. (2006) Bionomics and control of Agrilus zanthoxylumi. Chinese Journal of Applied Entomology, 43 (2), 236–239. [in Chinese with English summary]
- Wu, H. (2007) Studies on Biological and Rearing Technique of the Parasitoids on Emerald Ash Borer. MSc Thesis, Northwest A & F University, Yangling, 48 pp. [in Chinese with English summary]
- Xue, X.Z., Li, Y.L., Cao, X.H., Li, X.C., Zhao, W.Z., Ma, J.Q. & Gao, R.T. (2021) Investigation, management and control methods of forest insect pests in Jiyuan City. Journal of Henan Forestry Science and Technology, 41 (1), 39–41, 44. [in Chinese]
- Yang, J.L. & Wang, H.J. (2015) High-yield Cultivation and Control of Major Pests of Zanthoxylum bungeanum in Longnan. Gansu Science and Technology Press, Lanzhou, 213 pp. [in Chinese]
- Yuan, L.F. (2016) The Preliminary Study on Mechanism of Odor Perception of Agrilus zanthoxylumi to Volatiles from Zanthoxylum bungeanum. MSc Thesis, Northwest A & F University, Yangling, 41 pp. [in Chinese with English summary]
- Yuan, L.F., Xie, S.A., Liu, S.P., Lyu, S.J., Guo, X.R. & Song, X.B. (2017) Electroantennogram and behavioral responses of Agrilus zanthoxylumi to volatiles from Zanthoxylum bungeanum. Journal of Northwest A & F University (Natural Science Edition), 45 (2), 111–120. [in Chinese with English summary]
- Zhang, B.Y. (2003) Pests of Zanthoxylum bungeanum and Their Control. Gansu Culture Press, Lanzhou, 432 pp. [in Chinese]
- Zhang, R.K. & Feng, C. (1988) Preliminary observational report on Agrilus zanthoxylumi. Forest Pest and Disease, 4, 16–17. [in Chinese with English summary]
- Zhang, R.K. & Wang, T.M. (1992) Agrilus zanthoxylumi. In: Xiao, G.R. (Ed.), Forest Insects of China. 2nd Edition. China Forestry Publishing House, Beijing, pp. 402–403. [in Chinese]
- Zhang, W. (2009) Natural Enemies of Agrilus zanthoxylumi. MSc Thesis, Northwest A & F University, Yangling, 24 pp. [in Chinese with English summary]
- Zhang, W. & Li, M.L. (2010) Preliminary study of the biological characteristics of Tetrastichus zanthoxylumii. Journal of Northwest Forestry University, 25 (1), 107–110. [in Chinese with English summary]
- Zhu, J. & Feng, M.J. (1993) Prickly Ash Pepper. Shaanxi Science and Technology Press, Xi’an, 433 pp. [in Chinese]
